Here’s a question that has been burning me and probably anyone frequently heading to and from the harbor: why is the Highway 101 undercrossing at Castillo Street always wet? —D.
As I mentioned in a recent Odds & Ends post, the water table is simply too high for an area that dips low, and as a result, water penetrates through the undercrossing’s slab. The question then becomes whether anything can be done about it.
A different D. asked just that over a year ago, and I tried the Caltrans media reps, to no avail. When the question came up again, I tried Caltrans again (and again, and again, and again), and I got nowhere. So when the city announced public meetings about making improvements to the intersection, I reached out to the Public Works staffers overseeing the project, and they were willing to talk about the situation.
The issue has been around for a long time, they explained, and Caltrans owns the right of way below the freeway, so the city doesn’t actively maintain it. The longterm fix is to change the crossing to an overpass, which would cost a minimum of $100 million. And that’s not something Caltrans has planned anytime soon.
A few years ago, the city did public outreach to share conceptual designs for bike and pedestrian improvements on W. Montecito Street, W. Haley Street, and Castillo Street—that whole connection between downtown and the waterfront. That outreach didn’t include the undercrossing, however, and community members suggested looking into widening the undercrossing’s sidewalk, which Caltrans is onboard with.
So what the city wants to do now is to raise cyclists out of the wet roadway, which would make biking through the area more pleasant and less treacherous. (Cars will still have to deal with the water.) The plans also include reconfiguring traffic lanes at various points.
There are two options for how to fit a bike lane on W. Haley Street between De La Vina and Bath. The first one adds the bike lane to the south side of the pavement; the alternate concept moves the bike lane up near the sidewalk.
Either way, the western end of that block of W. Haley would be one lane of car traffic (instead of two), and part of the southern block of Bath Street would be converted to one-way.
At the intersection of W. Haley and Castillo, the thick green lines are dedicated bike lanes raised to sidewalk level. The two current westbound lanes on W. Haley would become one lane that splits into two left-turn lanes and one lane to go forward or turn right. (The second image below is a crop to make the text more legible.)
The next slide turns the same intersection 90 degrees. The dedicated bike lanes would end as you approach the undercrossing, where bikes and pedestrians would share the sidewalk.
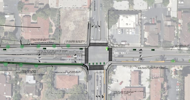
On Castillo Street between the 101 undercrossing and W. Montecito Street, the dedicated bike lane continues on the west side of the street (where you bike uphill), while on the north side, cyclists going downhill share a lane with cars. The plans show the possibility of widening the sidewalks on both sides to 10 feet, which would allow for tree wells, although some property would have to be acquired.
The slide for the intersection of Castillo Street and W. Montecito Street shows how the new raised bike lane would connect to the Cliff Drive multi-use path (construction to start in 2027) and a “future two-way path along west side of Castillo between Montecito and Cabrillo (next to Pershing Park).”
The Public Works reps said that if they can make these changes—they’re planning on asking the city council for approval to pursue grant funding next month—it will hopefully improve the moisture situation at the undercrossing a bit, but it won’t fix the problem entirely.
Got a question you’d like investigated? Email [email protected] or text 917-209-6473.
················
Previous Burning Questions:
••• What’s the history of this tower on Ortega Ridge?
••• What’s up with these sculptures on a hillside in Summerland?
••• Is there a master plan for the new walking paths in Montecito?
••• Why are the Thousand Steps still wet?
••• What’s happening with Sola Street?
••• Why are trees being cut down above the San Ysidro Ranch?
••• Why is this lot on Milpas Street still vacant?
••• Where else do cruise ships that visit here go?
••• What’s happening with the Pepper Tree Inn?
••• What is this large memorial in Ennisbrook?
••• What’s the large building under construction next to Highway 101?
••• Who bought the former St. Mary’s seminary—and why?
••• What will happen to the SBPD building when the new building is completed?
••• How does the city decide to mark bike lanes?
••• What’s the story with this house on W. Cota Street?
••• What are those little houses on Santa Barbara Street?
••• Which Highway 101 exits are getting renamed?
••• Is the Music Academy of the West adding pedestrian gates?
••• Why does the Coast Village Road median look so bad?
••• What’s the point of this light pole near the freeway?
••• Why are the city’s parking lots scanning license plates?
••• What’s inside Paseo Nuevo’s State Street tower?
••• What’s the point of these markings on Laguna Street?
••• Why is there a giant red shoe off Highway 101?
••• Are we no longer allowed on the SBHS baseball field?
••• What does “SBTP” on this post mean?
••• What’s up with the “no e-bike” signs on local trails?
••• Why is Franceschi House in a holding pattern?
••• What’s happening with this derelict house in Summerland?
↓↓↓ Why is there wood on some power lines?
••• Can you explain how sundowner winds work?
••• Why is there a pressure cooker attached to this utility pole?
••• What’s this concrete ramp thing on East Beach?
••• Why does “USA” get written on the street?
••• What are those poles in the ocean near the Ritz-Carlton Bacara?
••• Are people really allowed to set fires in the middle of Montecito?
••• What’s the story with the half-finished lot next to the Montecito Country Mart?
Sign up for the Siteline email newsletter and you’ll never miss a post.



















I have one request, if they are revamping the Castillo underpass. Southbound on Castillo, make a dedicated left turn lane with left turn light for entering 101 South. Currently if you want to take Castillo South from Haley to Cabrillo. If need to get into Castillo Right Lane to avoid the back up of cars trying to get onto the 101 S freeway in the left lane. The Castillo Right Lane then turns into a dedicated Right turn lane and you have to move into the Left Lane so you can head straight to Cabrillo. A lot more hassle than it needs to be.